
El Real Murcia va camino de tener una ciudad deportiva. Al menos, sus dirigentes ya han dado el primer paso y no es un farol, es un movimiento real. De hecho, el KBusiness, sociedad que se ha convertido en los últimos años en uno de las grandes accionistas de la entidad dado que agrupa cerca de 420.000 euros del capital social, ha adquirido unos terrenos cercanos al estadio Enrique Roca para construir, al menos, tres campos de fútbol para la primera plantilla y también para las bases del club.
En la adquisición de estos terrenos, escriturados en favor de esta sociedad hace ya dos semanas, participaron los integrantes del propio KBusiness, formada por varios consejeros granas, exdirectivos y otras empresas. Al mismo nivel contribuyeron Francisco Tornel y también Agustín Ramos, que se unió al proyecto el pasado mes de junio, cuando llegó al club. Entre todos acometieron la compra, que ha tenido un coste de 70.000 euros.
Los terrenos, de más de 30.000 metros cuadrados, pertenecían a la empresa Desarrollos Nueva Condomina, propiedad de Jesús Samper, y fueron adquiridos recientemente por este grupo, que lleva trabajando en esta operación casi tres años. El exconsejero Daniel Moreno y Antonio Rubio, actual secretario grana, fueron los principales promotores del proceso. Desde finales de 2018 han seguido de cerca el concurso de acreedores de la empresa del que fuera presidente y propietario del Real Murcia en concurso desde 2016, aunque no pudieron dar el paso definitivo de la compra hasta que la misma no entró en fase de liquidación.
Los gestores del Real Murcia están estudiando ahora la forma legal de la futura cesión de uso en favor del Real Murcia. Según ha podido saber LAVERDAD, la futura sociedad que se constituya como propietaria de la nueva ciudad deportiva (podría ser el propio KBusiness), pretende ceder al club grana la instalación sin que ello genere un perjuicio económico a la entidad y a la vez impidiendo que un tercero, en el futuro, pudiera enajenar este complejo deportivo.
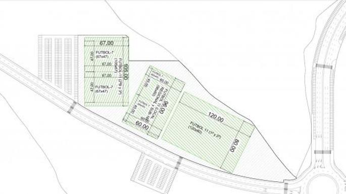
Los terrenos están situados tanto al margen derecho como izquierdo de la carretera que une el centro comercial Nueva Condomina con la vieja carretera de La Alcayna. Samper pensaba destinarlos a usos deportivos, aunque no llevó a cabo su plan. En ellos se construirán ahora tres campos de fútbol, además de otras infraestructuras, para lo que se destinará una inversión inicial cercana a los 800.000 euros.
Los actuales gestores de la entidad y promotores del proyecto estudian la fórmula en la que llegará el capital para afrontar la construcción del complejo, aunque según apuntan procedería de diferentes inversores y accionistas de la entidad. Una de las principales premisas del proyecto es que no haya un solo propietario de este complejo que utilizará en exclusiva el club y que sus dueños sean un buen número de murcianistas.
Cabe recordar que, aunque la actual directiva diseñó un proyecto para regenerar Cobatillas, el antiguo campo de entrenamiento del Murcia desde la llegada de Samper al final de los noventa, finalmente desechó esta posibilidad debido al encajonamiento de la parcela entre naves industriales y también a la lejanía del recinto con el centro de la capital de la Región.
Anteriores intentos
En los últimos años y en torno al Real Murcia surgieron varios proyectos para la ciudad deportiva grana. Entre los últimos, el propuesto por la Asociación de Accionistas Minoritarios del club grana (AAMRM) que apostaban por situarla en los solares aledaños al estadio, en unos terrenos propiedad del Ayuntamiento que serían cedidos por éste al club para 30 años. La construcción de los campos sería posible gracias a la creación de una sociedad promotora con carácter social.
Víctor Gálvez, expresidente de la entidad, también diseñó su propia ciudad deportiva, aunque su proyecto fue, con diferencia, el más inalcanzable e insostenible por la precaria situación económica por la que atraviesa el club. Y es que el oriolano pretendía levantar su despampanante ciudad deportiva que albergaría ocho campos de fútbol, un pabellón y una residencia en la avenida Juan Carlos I, en una extensión de 350.000 metros cuadrados y con un coste de 43 millones de euros.
Fuente: La Verdad

No hay comentarios:
Publicar un comentario